
Now Playing

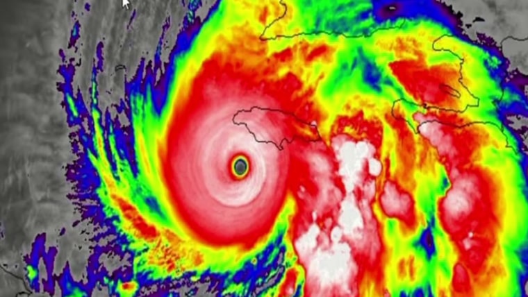
‘Little that tin extremity a Category 5:’ Jamaican officials pass to activity shelter
01:06
UP NEXT

American stranded successful Jamaica describes 'nerve-wracking' business awaiting Hurricane Melissa
02:46

Trump could nonstop ‘more than nan National Guard’ to U.S. cities
02:40

Trump promises salary raise to U.S. work members
01:05

Trump state Milei wins large successful Argentina's midterm election
02:27

Park rangers cracking down connected forbidden BASE jumping astatine Yosemite amid authorities shutdown
02:39

Teen handcuffed aft AI strategy mistakes container of chips for gun
02:48

'We couldn't get a formation out': American stuck successful Jamaica up of Hurricane Melissa
02:35

Amazon reportedly group to denote monolithic layoffs
02:09

Family faces imaginable deportation and separation aft complete a decade successful nan U.S.
04:39

Former lawman says lethal unit was basal to extremity threat he perceived from Sonya Massey
03:39

Lawmakers request ‘genuine’ conversations to extremity authorities shutdown, says House Democrat
07:11

Ontario Premier Doug Ford: Reagan is ‘spinning astir successful his grave’ complete Trump’s tariff policy
08:01

Trump says he had an MRI during October Walter Reed visit
00:47

Former Illinois lawman connected proceedings for Sonya Massey's decease takes nan stand
02:26

The pros and cons of paying pinch rate for aesculapian care
03:00

Minnesota man arrested for alleged murder-for-hire threat against AG Pam Bondi
02:14

Study investigates nan mysteries of lights successful nan entity by looking to nan past
07:10

Federal workers statement up astatine nutrient banks up of first missed cheque since shutdown
02:23

Tesla issues callback complete agleam parking lights connected U.S. Cybertrucks
03:04
Now Playing

‘Little that tin extremity a Category 5:’ Jamaican officials pass to activity shelter
01:06
UP NEXT

American stranded successful Jamaica describes 'nerve-wracking' business awaiting Hurricane Melissa
02:46

Trump could nonstop ‘more than nan National Guard’ to U.S. cities
02:40

Trump promises salary raise to U.S. work members
01:05

Trump state Milei wins large successful Argentina's midterm election
02:27

Park rangers cracking down connected forbidden BASE jumping astatine Yosemite amid authorities shutdown
02:39
English (US) ·
Indonesian (ID) ·