Search Engine
×
Category
Home
News
Travel
Sports
Food
Health
Automotive
Tech
nbcnews
Home
News
Travel
Sports
Food
Health
Automotive
Tech
House Oversight Republicans urge DOJ to probe Biden's 'illegitimate' autopen use
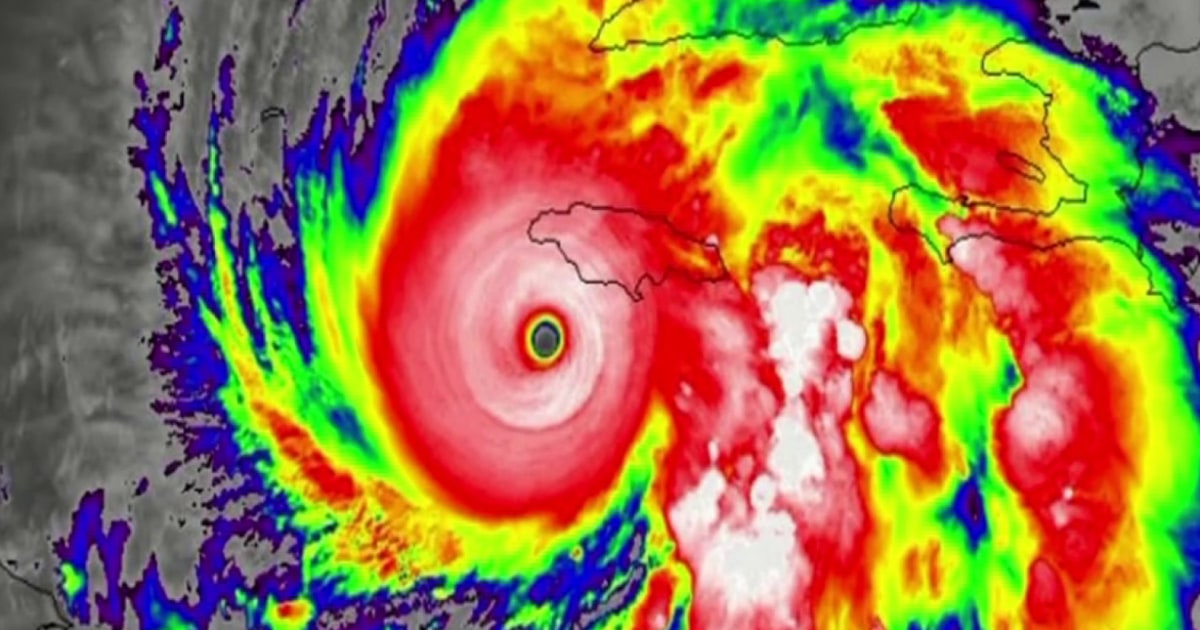
Jamaica warned 'little can stop a Cat. 5 hurricane'
Jamaican official warns: 'Don't bet against Melissa'
‘Little that can stop a Category 5:’ Jamaican officials warn to seek shelter
Pete Hegseth says 14 people were killed in new strikes on alleged drug-carrying boats
Federal workers to miss first full paycheck of shutdown
18th-inning home run lifts Dodgers over Blue Jays
Louvre heist suspects not cooperating with police
Gaza film festival screens 'The Voice of Hind Rajab'
Melissa creating problems for Jamaica ahead of landfall
Amazon Says It Will Lay off 14,000 Employees as It Invests in AI
Trump Hints Deployment to More US Cities in Speech to Troops
Hurricane Melissa: TODAY's Al Roker Tracks the Category 5 Storm
Amazon to lay off 14,000 corporate employees
How NDAs keep AI data center details hidden from Americans
Freddie Freeman (again) enters World Series lore with 18th inning home run to lift Dodgers over Blue Jays
Sean Combs set to be released from prison in 2028
Amazon reportedly laying off 30,000 employees
First
Prev
31
32
33
34
35
36
37
Next
Last
Popular Article
The Best Wireless Headphones For 2025: Bluetooth Options For Every Budget
3 months ago
476
New Travel Turmoil As American Airlines, United, Jetblue, And Avelo Slashing Flights And Routes – What You Need To Know
3 months ago
321
American, Delta, Southwest And Alaska Connecting Chicago, Philadelphia, Raleigh-durham, San Diego, Santa Maria, Sun Valley With New Winter Airline Rou...
3 months ago
306
Thousands Of Air Canada Flights At Risk As Potential Strike Threat Set To Disrupt Global Travel
3 months ago
265
Google Is Experimenting With Machine-learning Powered Age Estimation Tech In The U.s.
3 months ago
265
↑